Spis treści:
- Jakie właściwości ma napój typu cola?
- Coca – cola na mszyce
- Jak stosować coca na mszyce?
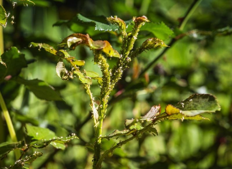
Mszyce to niewielkie owady, których ciało mierzy od 2 do 5 mm. Mimo małych rozmiarów potrafią spowodować duże szkody na roślinach - mszyce są roślinożerne.
Te maleńskie szkodniki przyczyniają się do osłabienia wzrostu roślin, zniekształcenia pędów i obniżenia plonowania. Szkodniki te również wysysają soki roślinne i częściowo wydalają je, tworząc na roślinie biały nalot, który przyciąga mrówki, grzyby sadzonkowe i inne grzyby chorobotwórcze. Mszyce mogą być także nosicielami chorób wirusowych.
Jakie właściwości ma napój typu cola?
Napoje typu cola są chętnie pite przez dużą część społeczeństwa. Zawierają jednak bardzo dużo cukru, bo aż 21 kostek w litrze napoju.
Cola podnosi kwasowość soków żołądka, wywołując flatulencje. Według badań, jej częste picie zwiększa ryzyko zachorowania na choroby nowotworowe. Ponadto może przyczynić się do wyniszczania nerwu ocznego, a także podrażnień skóry i oczu.
Napoje typu cola chętnie wykorzystywane są w życiu codziennym. Używane są m.in. do:
- mycia silników;
- eliminowania rdzy;
- przeczyszczania i udrażniania rur.
W Indiach coli używa się do zwalczania plag, ponieważ jest dużo tańsza i efektywniejsza od pestycydów. W Polsce cola często stosowana jest przez ogrodników, jako środek na mszyce.

Coca – cola na mszyce
Cola posiada duże ilości cukru, kwas fosforowy oraz kofeinę. Jej skład może przyczynić się do skuteczniej walki z mszycami. Zawarte w niej duże ilości cukru są wabikiem dla mszyc, dzięki niemu zidentyfikujemy szkodniki i skutecznie je wyeliminujemy. Kofeina zaś działa jak środek owadobójczy — mszyce po jej spożyciu tracą zdolność do poruszania się i obumierają. Z kolei kwas fosforowy w napoju pomaga w niszczeniu ciała mszyc, tym samym ograniczając ich dalsze rozprzestrzenianie.
Pamiętajmy jednak, aby nie nadużywać napojów typu cola w dużych ilościach na nasze rośliny. Ich nadmiar może przyczynić się do ich osłabienia, a także większego ryzyka wystąpienia chorób.
Jak stosować coca na mszyce?
Ogrodnicy zalecają stosowanie coli ze specjalnymi preparatami na mszyce, aby całkowicie zniszczyć szkodniki. Napój możemy stosować również bezpośrednio na mszyce, czyli spryskać szkodniki, których ciało zostanie rozpuszczone przez kwas fosforowy.
Napój możemy stosować również zapobiegawczo, umieszczając colę w płaskim naczyniu w miejscu, gdzie występuje największe natężenie mszyc. Zadziała na nie wabiąco, będą próbowały dostać się do niego.









