Spis treści:
- Co to jest ziemiórka?
- Jak uniknąć pojawienia się ziemiórek?
- Zwalczanie ziemiórek – domowe sposoby
- Zwalczanie larw ziemiórek – kąpiel dezynfekująca korzenie przeciwko ziemiórkom
- Ziemiórki — zwalczanie środkami specjalistycznymi
Co to jest ziemiórka?
Ziemiórki to muchówki o wielkości kilku centymetrów. Mają przeźroczyste skrzydełka, dzięki którym latają nad doniczkami z kwiatami. Żyj ą około tygodnia – w tym czasie odbywają gody i składają w ziemi jaja. Po około 4 dniach wykluwają się z nich beznogie larwy o przeźroczystym ciele. Owady w stadium larwalnym żerują przez 2 tygodnie, a następnie przekształcają się poczwarki, które po czterech dniach zmieniają się w dorosłe owady.
Dojrzałe muszki nie są szkodliwe dla roślin. Problemem są natomiast same l arwy muchy, które mogą podgryzać korzenie. Dzieje się to tylko wtedy, kiedy zwiększa się ich liczebność. Larwy mają zwyczaj żywić się głównie martwą materią organiczną. Dopiero kiedy zaczynie im ich brakować wezmą się za korzenie twoich kwiatów.
Czy wiesz, że należąca do tej rodziny ziemiórka pleniówka żyje w wilgotnych lasach, a jej larwy odbywają bardzo spektakularne wizualnie wędr ówki, które nazywają się pleń. To stąd pochodzi nazwa tej muchówki.
Czasami można natknąć się na błędną informację, że to właśnie pleniówka pojawi a się w domowych doniczkach. Warto mieć świadomość, że w warunkach mieszkaniowych można się spotkać z różnymi owadami z rodziny ziemiórkowatych ( Sciaridae).
Jak uniknąć pojawienia się ziemiórek?
Ziemiórki lubią ciepło i wilgoć, dlatego często pojawiają się w tropikalnych kwiatach, które należy utrzymywać w warunkach o zwiększonej wilgotności powietrza. Owady będą się szybciej w nich mnożyć. Wciąż nie będą jednak groźne dla roślin, o ile nie dojdzie do przeschnięcia ziemi w doniczce. W takich warunkach larwy będę poszukiwać źródła wilgoci, które wcześniej czy później znajdą w korzeniu rośliny. Zaczną na nim żerować, co wkrótce może doprowadzić nawet do obumarcia kwiatu – zwłaszcza, że uszkodzone organy roślin są wrażliwe na wirusy i choroby grzybowe. Podatne na ich atak są zwłaszcza młode rośliny i często – właśnie przy zakupie nowej roślinki ze sklepu – przynosi się ziemiórki razem z nią.
Aby uniknąć pojawienia się owadów, warto do roślin stosować przepuszczalne podłoże, które będzie odprowadzało wilgoć z doniczki. Dodanie pewnej ilości piasku (w zależności od gatunku rośliny) może być dobrym pomysłem. Warto też pamiętać, by nie dogrzewać mieszkania bardziej, niż jest to konieczne. Wysoka temperatura skraca cykl życiowy ziemiórki, a więc powoduje szybsze jej się namnażanie. Pełny cykl może trwać zaledwie 2 tygodnie.

Zwalczanie ziemiórek – domowe sposoby
Czasami w twoich doniczkach rzeczywiście rozpanoszą się muszki ziemiórki. Zwalczanie tych owadów można zacząć domowymi metodami. Zanim sięgniesz po silne, chemiczne środki ochrony roślin, sprawdź, czy nie zadziała naturalnysposób na ziemiórki. Oto najbardziej skuteczne z nich.
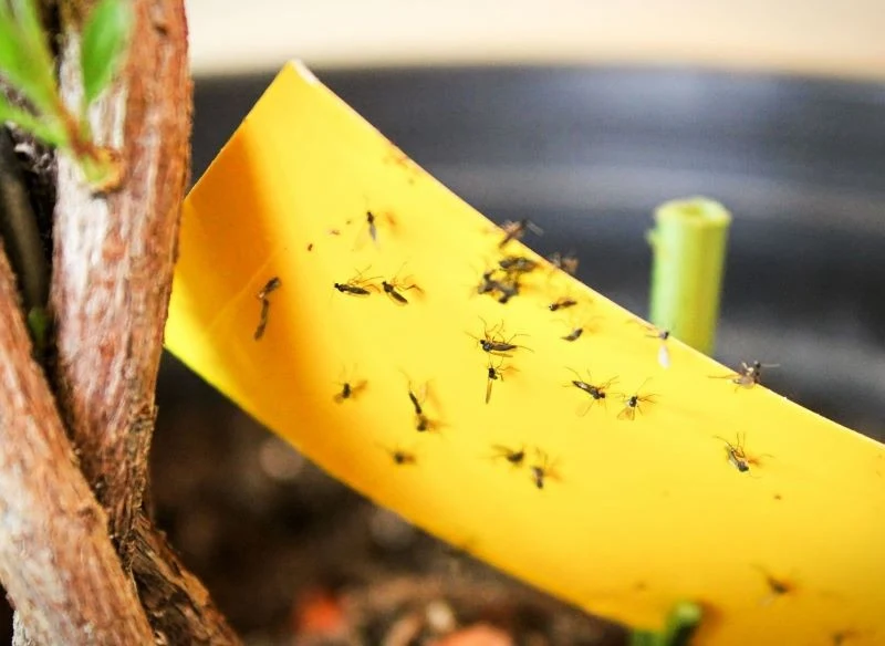
- Pułapka na ziemiórki do powyłapywania dorosłych owadów. Aby ją wykonać, należy znaleźć żółte (ten kolor przyciągnie muszki), niewielkie naczynie i napełnić je do ⅔ wodą. Następnie trzeba do niej dodać łyżeczkę octu jabłkowego lub winnego oraz łyżeczkę płynu do mycia naczyń. Alternatywą do żółtego naczynia jest zabarwienie wody na ten kolor, przy użyciu kurkumy. Ta mikstura przyciągnie dorosłe muszki, które następnie w wodzie po prostu się utopią. Kiedy naczynie będzie już pełne martwych owadów, należy wymienić wodę, ponieważ niedługo pojawi się kolejne pokolenie ziemiórek. Zwalczanie ich może potrwać nawet kilka tygodni.
- Napar z czosnku do pozbycia się larw ziemiórek żerujących w ziemi. Nie da się ich wybrać ręcznie, ponieważ są bardzo słabo widoczne. Często proponowanym sposobem jest zaprzestanie podlewania roślin. Teoretycznie ziemiórki powinny wymrzeć z powodu braku wilgoci. Niestety istnieje ryzyko, że w ten sposób bardziej zaszkodzisz niż pomożesz roślinie – zwłaszcza jeśli słabo znosi ona okresowe przesuszenia gleby. Skuteczny za to będzie napar z czosnku, którym należy podlewać rośliny. Przygotowuje się go, zalewając rozgniecioną główkę czosnku jedną lub dwoma szklankami wrzątku. Gdy ostygnie, należy dodać do niego jeszcze trochę wody i przechowywać w butelce. Taką miksturą należy podlać rośliny.
- Roztwór z wody utlenionej. Jego skuteczność i sposób użycia są podobne do działania w przypadku stosowania naparu z czosnku, ale przygotowuje się go trochę inaczej. Należy wymieszać odstałą wodę z kranu z wodą utlenioną w proporcji 1:4 (np. jeden litr wody utlenionej na 4 litry wody).
Zwalczanie larw ziemiórek – kąpiel dezynfekująca korzenie przeciwko ziemiórkom
Powyższe sposoby powinny skutecznie zatrzymać namnażanie się ziemiórek. Czasami trzeba sięgnąć po radykalniejszy środek, jakim jest kąpiel korzeni przeciwko ziemiórkom. Wykonuje się ją podczas przesadzania roślin.
- Korzenie należy dokładnie, ale możliwie delikatnie oczyścić ze starej ziemi, którą trzeba wyrzucić, by pozbyć się bytujących w niej ziemiórek.
- Następnie korzenie należy umieścić na 24 godziny w specjalnej kąpieli, która je zdezynfekuje. Do jej przygotowania trzeba użyć litra wody, łyżki płynnego mydła potasowego bądź kawałku rozpuszczonego szarego mydła i łyżki denaturatu. Wszystkie składniki należy dokładnie wymieszać.
- Po kąpieli rośliny umieszcza się w świeżej ziemi w czystych doniczkach – jeśli nie w nowych, to w dokładnie umytych szarym mydłem starych.
Ten zabieg powinien raz na zawsze rozprawić się z ziemiórkami. Oczywiście część dorosłych owadów może wciąż jeszcze latać po mieszkaniu. Do ich wyłapania można użyć wspomnianej powyżej pułapki lub lepów kupionych w sklepie.
Ziemiórki — zwalczanie środkami specjalistycznymi
Teoretycznie do zwalczania ziemiórek można sięgnąć po preparat z nicieniami Steinernema feltiaei. Są one naturalnymi wrogami ziemiórek i powinny zrobić spustoszenie wśród ich populacji. Problemem jest jednak dostępność tego środka. Występuje on najczęściej tylko w dużych opakowaniach, przeznaczonych dla rolników, a nie amatorów domowego ogrodnictwa.
Jeśli wszystkie naturalne sposoby zawiodły, można sięgnąć po specjalistyczne zwalczanie ziemiórek. Dostępne są różne preparaty do podlewania, w którego składzie zawarte są związki z grupy limonoidów, skutecznie odstraszające ziemiórki. Preparat na ziemiórk i przed użyciem należy rozcieńczyć z wodą w proporcji 5 ml płynu na 1 l wody.
Istnieją także pałeczki owadobójcze na ziemiórki, które umieszcza się w ziemi. Skutecznie odstraszają muchówki i pomagają roślinie odzyskać wigor po ataku tych szkodników, ponieważ mają w składzie nawóz.
Ziemiórki często uprzykrzają życie amatorom roślin domowych. Kiedy jest ich niewiele, nie są groźnymi szkodnikami. Niestety szybko się mnożą, dlatego trzeba kontrolować ich populację, a najlepiej całkiem się ich pozbyć.


























