Spis treści:
- Co to jest miodówka gruszowa?
- Miodówka gruszowa – objawy żerowania
- Zwalczanie miodówki gruszowej – metody biologiczne
- Zwalczanie miodówki gruszowej – metody chemiczne
- Profilaktyka przeciwko miodówce gruszowej
Co to jest miodówka gruszowa?
Miodówka gruszowa (Psylla pyri) to niewielki owad z rodziny miodówkowatych, żerujący wyłącznie na gruszach. Dorosłe osobniki przypominają miniaturowe cykady, osiągają 2–3 mm długości i mają zdolność skakania. Ich barwa zmienia się od żółtawej do brązowej lub czarnej wraz z upływem sezonu. W polskich sadach występują głównie:
- miodówka gruszowa zwyczajna (Psylla pyri) - najliczniejszy i najbardziej szkodliwy gatunek;
- miodówka gruszowa czerwona (Psylla pyrisuga) - mniej liczna, ale równie uciążliwa;
- miodówka gruszowa żółta (Psylla pyricola) - rzadziej spotykana w naszym klimacie.
Szkodniki rozwijają się w 3–5 pokoleniach rocznie. Zimują jako dorosłe osobniki w szczelinach kory, a wiosną, gdy temperatura przekroczy 5°C, rozpoczynają żerowanie i składanie jaj na pąkach, młodych liściach i pędach.
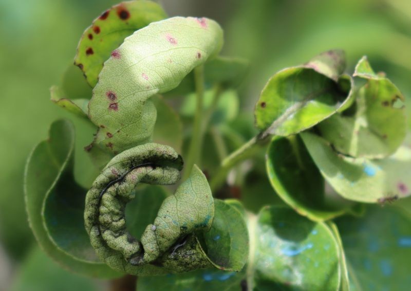
Miodówka gruszowa – objawy żerowania
Najbardziej charakterystycznym objawem żerowania miodówki gruszowej jest obecność spadzi – lepkiej, słodkawej wydzieliny produkowanej przez larwy. Substancja ta pokrywa liście, pędy i owoce, z czasem czernieje wskutek rozwijających się grzybów sadzakowych.
Inne symptomy to:
- zwijanie i deformacja młodych liści oraz pędów;
- zahamowanie wzrostu przyrostów;
- przedwczesne opadanie zawiązków owoców;
- obecność płaskich, białawych lub jasnozielonych larw na spodniej stronie liści.
Intensywne żerowanie miodówki nie tylko obniża plony, ale także osłabia drzewa, zwiększając ich podatność na inne choroby i szkodniki. Owoce pokryte spadzią tracą wartość handlową – są lepkie, często pokryte czarnym nalotem i wymagają dokładnego mycia.
Objawy ataku zmieniają się w zależności od pory roku:
- wczesna wiosna (kwiecień–maj) – deformacja pąków liściowych i kwiatowych, pierwsze krople spadzi na młodych liściach, obecność żółtawych, spłaszczonych larw wyraźnie widocznych pod lupą;
- pełnia lata (czerwiec–sierpień) – obfita spadź, czarny nalot grzybów sadzakowych, wyraźne zahamowanie wzrostu pędów, liczne kolonie larw różnych stadiów rozwojowych;
- późne lato i jesień (wrzesień–październik) – silnie porażone liście przedwcześnie opadają, pędy nie drewnieją prawidłowo, co zmniejsza ich odporność na mróz.
Miodówka ma większe znaczenie gospodarcze w sadach produkcyjnych, gdzie może powodować straty nawet 30–40% plonu, niż w ogrodach przydomowych, choć i tam wpływa na jakość owoców.

Zwalczanie miodówki gruszowej – metody biologiczne
Walka z miodówką nie musi oznaczać stosowania chemii. Istnieje szereg skutecznych metod biologicznych, które możesz zastosować w swoim sadzie.
Kluczową rolę odgrywają sprzymierzeńcy naturalni – drapieżne owady takie jak złotooki, biedronki czy pluskwiaki z rodzaju Anthocoris, które żywią się larwami i jajami miodówki. Zaprosisz je do swojego ogrodu, sadząc w pobliżu grusz rośliny nektarodajne, które stanowią dla nich dodatkowe źródło pokarmu.
Istotnym elementem walki ze szkodnikiem jest również mechaniczne usuwanie porażonych części roślin. Przycinanie silnie zaatakowanych pędów, szczególnie wczesną wiosną, pozwoli usunąć część zimujących osobników oraz złożonych jaj. Pamiętaj, że usunięte części roślin należy spalić lub wyrzucić daleko od sadu, aby zapobiec rozprzestrzenianiu się szkodnika.
Naturalne preparaty stanowią kolejną linię obrony przed miodówką. Roztwór mydła potasowego (40 g na 10 l wody) skutecznie zwalcza larwy miodówki. Opryskuj nim drzewa co 7–10 dni, zwracając szczególną uwagę na spodnią stronę liści, gdzie najczęściej przebywają larwy. Równie skuteczne są wyciągi z czosnku, wrotyczu czy pokrzywy, które działają odstraszająco na dorosłe osobniki. Te naturalne preparaty, choć bezpieczne dla ludzi i zwierząt domowych, mogą powodować podrażnienia skóry, dlatego podczas ich stosowania używaj rękawic ochronnych.
Pomocne w walce z miodówką są równieżżółte lub białe pułapki lepowe. Zawieszone w koronie drzewa przyciągają i unieruchamiają dorosłe miodówki, co pozwala zarówno na monitorowanie ich liczebności, jak i na częściowe ograniczanie populacji. Regularnie sprawdzaj i wymieniaj pułapki, gdy ich powierzchnia zostanie pokryta owadami.
Zwalczanie miodówki gruszowej – metody chemiczne
Gdy metody biologiczne zawodzą, można sięgnąć po środki chemiczne. Najlepszy termin to wczesna wiosna (przed złożeniem jaj przez zimujące osobniki) oraz okres tuż po wylęgu młodych larw.
Wybieraj preparaty selektywne, które minimalizują zagrożenie dla pożytecznych owadów. Dobrze sprawdzają się środki zawierające acetamipryd, abamektynę czy spirotetramat. Sprawdzaj aktualną dostępność substancji, gdyż regulacje prawne mogą się zmieniać.
Stosuj rotację środków o różnych mechanizmach działania, aby zapobiec wytworzeniu odporności. Przestrzegaj okresów karencji, szczególnie jeśli planujesz zbiór owoców w najbliższym czasie.

Profilaktyka przeciwko miodówce gruszowej
Zapobieganie zawsze jest skuteczniejsze niż zwalczanie. Utrzymuj sad w dobrej kondycji – zdrowe, odpowiednio nawożone i podlewane drzewa są bardziej odporne na ataki. Unikaj nadmiaru azotu, który sprzyja rozwojowi miodówek.
Wykonuj zabiegi pielęgnacyjne: cięcie sanitarne, usuwanie mchu i porostów z pni oraz bielenie wapnem pni późną jesienią. Wczesną wiosną, przed wegetacją, wykonaj oprysk preparatem olejowym, który zniszczy zimujące osobniki.
Regularnie monitoruj sad pod kątem pierwszych objawów obecności szkodnika, aby móc szybko zareagować. Skuteczne zwalczanie miodówki gruszowej wymaga systematyczności i łączenia różnych metod. Stosując zasady integrowanej ochrony roślin, zapewnisz swoim gruszom zdrowie, a owocom wysoką jakość.
Źródło: deccoria.pl












