Spis treści:
- Czym jest parch jabłoni?
- Jakie są objawy parchu jabłoni?
- Opryski na parch jabłoni
- Jak zapobiegać parchowi jabłoni?
Czym jest parch jabłoni?
Parch jabłoni to choroba grzybowa wywoływana przez gatunek Venturia inaequalis. Jest prawdopodobnie najpospolitszym i jednocześnie najgroźniejszym schorzeniem, które dotyka jabłonki. Skutkiem działania parchu jabłoni jest osłabienie drzewa, a tym samym obniżenie jakości oraz ilości plonów – owoce są zdeformowane, a niektóre w ogóle nie nadają się do spożycia.
Najbardziej sprzyjające warunki dla rozwoju parchu jabłoni to temperatura w granicach 17-24 stopni Celsjusza oraz wysoka wilgotność. Do zakażenia przeważnie dochodzi wiosną, w trakcie deszczowej pogody.
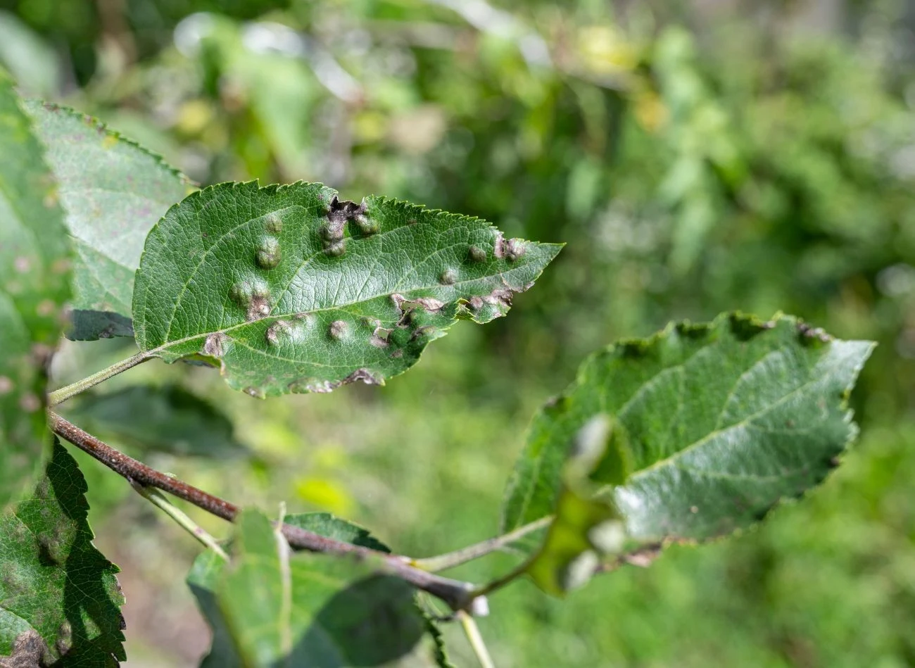
Jakie są objawy parchu jabłoni?
Pierwsze objawy parchu jabłoni zazwyczaj można zaobserwować na początku maja. To właśnie wtedy na liściach jabłoni mogą pojawić się charakterystyczne, ciemnooliwkowe plamy z nalotem. Z biegiem czasu owe plamy brązowieją, a porażone liście obumierają.
Innym objawem parchu jabłoni są zmiany w obrębie pąków. W trakcie kwitnienia, na porażonych owocach pojawiają się brązowe, szorstkie plamy (strukturą przypominają korek). Wskutek owej choroby grzybowej, liście i owoce jabłoni mogą opadać zbyt wcześnie. Porażeniu często ulegają pędy jabłonki, które wówczas pokrywają się plamami oraz ulegają deformacji.
Opryski na parch jabłoni
Po zauważeniu pierwszych objawów parchu jabłoni należy działać szybko. Pomóc mogą domowej roboty opryski – ze skrzypu polnego oraz mocznika. Wprawdzie można użyć specjalistycznych środków chemicznych dostępnych w sklepach ogrodniczych, jednak najpierw warto wypróbować naturalne metody.
Jeśli chodzi o oprysk z mocznika, to do jego wykonania potrzebne będzie 500 g mocznika oraz 10 litrów wody. Obydwa składniki mieszamy ze sobą, dzięki czemu uzyskujemy preparat o stężeniu 5 proc. Oprysk stosujemy w bezdeszczowy, jednak pochmurny dzień. Pryskamy zarówno poszczególne elementy jabłonki, jak i ziemię wokół niej.
Do wykonania oprysku ze skrzypu polnego potrzebne będzie 150-200 g suszonego lub 500 g świeżego skrzypu. Świeży skrzyp należy zalać 5 litrami wody, a suszony – 10 litrami. W obydwóch przypadkach preparat musi odstać 24 godziny. Po tym czasie można zastosować oprysk.

Jak zapobiegać parchowi jabłoni?
W celu uchronienia jabłoni przed parchem warto przedsięwziąć pewne zabiegi pielęgnacyjne, które mogą zapobiec rozwojowi choroby. Przede wszystkim – należy regularnie wygrabiać opadłe liście, które gromadzą się pod jabłonią. Znajdują się nich patogeny, które mogą przyczynić się do zainfekowania drzewka.
Wcześniej opisane opryski warto stosować prewencyjnie. W przypadku preparatu z mocznika ważne jest, by spryskać również ziemię wokół jabłoni. Dzięki temu ryzyko rozwoju patogenów grzyba znacznie zmaleje.
Warto także zaopatrzyć się w sadzonki jabłoni, które charakteryzują się większą odpornością. Chodzi tutaj między innymi o jabłoń 'Kosztela' czy 'Antonówka'.
Źródło: deccoria.pl











