Spis treści:
- Co powoduje, że mszyc jest dużo?
- Skutki żerowania mszyc
- Co najbardziej lubią mszyce?
- Skuteczny oprysk na mszyce
- Inne skuteczne metody na mszyce
- Mszyce w ogrodzie nie stanowią dłużej problemu
Co powoduje, że mszyc jest dużo?
Mszyce rozmnażają się w niezwykle szybkim tempie, co jest jednym z głównych powodów ich dużej liczebności. Sprzyjające warunki pogodowe, takie jak ciepłe temperatury i wysoka wilgotność, także przyczyniają się do gwałtownego wzrostu ich populacji. Samice potrafią wydać na świat nawet około 50 potomków. One też są najbardziej żarłoczne w postaci nimf, czyli ostatniego stadium larwalnego, zanim osiągną pełną dojrzałość.
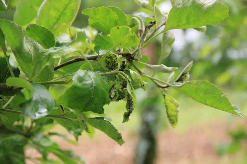
Skutki żerowania mszyc
Mszyce żerują, wysysając soki z roślin, co prowadzi do osłabienia roślin i zahamowania ich wzrostu. Mogą również przenosić wirusy roślinne, które powodują dodatkowe szkody (rozprzestrzenianie się chorób). Objawy żerowania mszyc to m.in. zdeformowane liście, zahamowanie wzrostu roślin, a także powstawanie lepkiej substancji na powierzchni liści, znanej jako spadź. Przyciąga ona inne szkodniki i sprzyja rozwojowi pleśni, co dodatkowo pogarsza stan roślin.
Co najbardziej lubią mszyce?
Mszyce mają swoje preferencje, jeśli chodzi o rośliny. Szczególnie upodobały sobie gatunki o miękkich, soczystych liściach, takie jak róże, pomidory, ogórki, a także wiele odmian kwiatów ozdobnych. Odmiany z wysoką zawartością azotu są bardziej narażone na atak mszyc, ponieważ sprzyja on produkcji miękkich, soczystych tkanek, które mszyce uwielbiają.
Również rośliny osłabione, na przykład przez choroby lub nieodpowiednie warunki uprawy, mogą dodatkowo być zmuszone do walki z inwazją mszyc. Niektóre gatunki owadów mają też swoje „ulubione” rośliny. Oznacza to, że atakują głównie ziemniaki, kapustę, ogórki czy róże. Masz je w swoim ogrodzie? W ślad za nimi mogą niestety pojawić się szkodniki.

Skuteczny oprysk na mszyce
Oczywiście do walki z mszycami można stosować różne środki, w tym chemiczne. Niestety nie są one obojętne dla środowiska, a niewłaściwie stosowane mogą powodować też zagrożenie dla ludzi i zwierząt domowych. Preferujesz ekologiczne rozwiązania? Rozważ zrobienie domowego oprysku czosnkowo-sodowego. Przygotowanie tego środka jest proste i wymaga jedynie kilku składników, które z pewnością znajdziesz w swojej kuchni. Ostatecznie będzie to kosztowało grosze, a przyniesie naprawdę dobre rezultaty.
Składniki:
- 3 ząbki czosnku,
- soda oczyszczona,
- woda.
Sposób przygotowania:
- Obierz 3 ząbki czosnku i wyciśnij je przez praskę.
- Wymieszaj wyciśnięty czosnek z ciepłą, przegotowaną wodą.
- Pozostaw mieszankę na 2 dni, aby czosnek dobrze się przegryzł.
- Odcedź resztki czosnku, dodaj sodę oczyszczoną i dokładnie wymieszaj.
- Przelej gotowy roztwór do butelki ze spryskiwaczem.
Taki oprysk można stosować dwukrotnie w ciągu roku: gdy rośliny, takie jak pomidory, mają już zielone, ale jeszcze niedojrzałe owoce oraz kiedy kwiaty zaczynają puszczać pąki. Oprysk czosnkowo-sodowy nie tylko zwalcza mszyce, ale również zapobiega ich ponownemu pojawieniu się.
Aby osiągnąć najlepsze rezultaty, należy spryskiwać rośliny dokładnie i równomiernie, nie zapominając o trudno dostępnych miejscach, takich jak zagłębienia gałęzi oraz spodnia strona liści, gdzie mszyce i ich larwy lubią się ukrywać.

Inne skuteczne metody na mszyce
Oprócz oprysków istnieje kilka innych skutecznych metod zwalczania mszyc. Można zastosować silny strumień wody, aby zmyć owady z roślin. Ten sposób jest szczególnie skuteczny w przypadku roślin doniczkowych, które można wstawić do wanny lub pod prysznic.
Warto również posadzić w ogrodzie rośliny, które odstraszają mszyce, takie jak mięta, lawenda, aksamitki czy ogórecznik lekarski. Rośliny te wydzielają zapachy, których szkodniki nie znoszą, co może pomóc w ich odstraszeniu.
Zaproszenie do ogrodu naturalnych wrogów, takich jak biedronki, również może okazać się skuteczne. Biedronki są naturalnymi drapieżnikami mszyc i mogą znacząco przyczynić się do zmniejszenia ich populacji. Można je przyciągnąć, sadząc rośliny takie jak koper i koper włoski lub umieszczając w ogrodzie żółte wstążki i donice.
Mszyce w ogrodzie nie stanowią dłużej problemu
Mszyce stanowią poważne zagrożenie dla ogrodów, ale jeśli szybko je dostrzeżesz i zaczniesz zwalczać, ochronisz swoje plony. Jednym z bardziej skutecznych, a zarazem ekologicznych metod jest oprysk z czosnku i sody. Sam prysznic też dobrze podziała. Aby odstraszyć szkodniki, zasadź rośliny, których zapach jest drażniący dla owadów. W ten sposób zaprosisz też biedronki, które są największymi wrogami mszyc. Dzięki temu życie w twoim ogrodzie zacznie toczyć się w harmonii i równowadze.
Źródło: deccoria.pl













