Spis treści:
- Jak rozpoznać parch jabłoni?
- Odmiany jabłoni odporne na parcha
- Jak walczyć z parchem jabłoni – naturalne sposoby
- Czy można jeść owoce zaatakowane przez parch jabłoni?
Jak rozpoznać parch jabłoni?
Parch jabłoni powodowany jest powszechnie występujące w przyrodzie grzyby gatunku Venturia inaequalis. To jedna z najczęstszych i najbardziej niebezpiecznych chorób tych drzew owocowych. Dotknięte nią mogą zostać jednak nie tylko jabłonie, ale również grusze, co wywołuje poważne skutki. Porażone parchem rośliny słabiej plonują, a owoce, które uda nam się zebrać, nie nadają się do spożycia. Ponieważ drobnoustroje wywołujące parcha są obecne wszędzie tam, gdzie uprawia się jabłonie i grusze, trudno jest uniknąć rozprzestrzenienia się tej choroby w naszym sadzie.
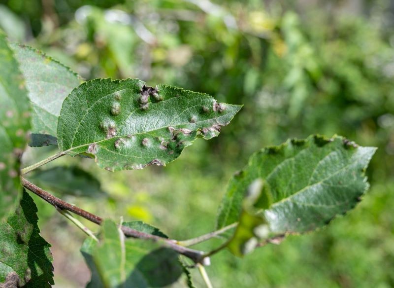
Na szczęście parch jabłoni jest dość łatwy w identyfikacji, co pozwala wcześnie zacząć zwalczać groźne patogeny. Pierwsze objawy porażenia zazwyczaj widoczne są wczesną wiosną. Na ogół w kwietniu lub maju, gdy jest już dość ciepło i wilgotno, możemy zauważyć zmiany na liściach drzewa owocowego. Dlaczego parch jabłoni rozwija się akurat wiosną? To właśnie wtedy pod wpływem podnoszącej się temperatury znajdujące się na opadłych liściach owocniki wytworzone przez Venturia inaequalis pękają, rozsypując wokół zarodniki workowe.

Przenoszone wiatrem zarodniki grzybów błyskawicznie przenoszą się na zdrową roślinę i ją porażają. Odbywa się to zazwyczaj jeszcze przed pękaniem pąków lub podczas kwitnienia, ale może trwać nawet do końca czerwca. Wczesna identyfikacja pozwala na szybszą reakcję i uratowanie cennych zbiorów, dlatego warto już na początku wiosny wnikliwie obserwować drzewa w swoim sadzie. Jak rozpoznać parch jabłoni? Zwróćmy uwagę na następujące objawy:
- Pierwszym symptomem parcha jabłoni są pojawiające się na liściach zaokrąglone plamy. Początkowo mają one oliwkowy kolor i aksamitny nalot – to tutaj znajdują się skupiska zarodników grzybów;
- Z czasem plamy na blaszkach liściowych zaczynają się zlewać, zajmując coraz większą powierzchnię. Deformują się i stają się brązowe, a następnie obumierają, kruszą się oraz zasychają;
- Drzewo zainfekowane parchem jabłoni przedwcześnie zrzuca liście;
- Objawy parcha mogą objąć nie tylko liście, ale również inne tkanki – pąki kwiatowe, kwiaty i ogonki liściowe – w zasadzie wszystkie niezdrewniałe, nadziemne części jabłoni;
- Szczególnie niepokojącym symptomem parcha jabłoni jest porażenie patogenem również zawiązków owoców oraz samych plonów wraz z szypułkami. Na chorych owocach możemy zaobserwować ciemne, zaokrąglone plamy (nekrozy), które z czasem pokrywają się warstwą korka. Bliznowata tkanka i spękania powierzchni są objawami zaawansowanej infekcji. Porażone owoce przedwcześnie opadają z drzewa.

Odmiany jabłoni odporne na parcha
Parch to poważna choroba, która powoduje znaczne straty w plonie. Stanowi poważne wyzwanie dla każdego, kto uprawia jabłonie w przydomowym sadzie. Aby zmniejszyć ryzyko wystąpienia tej infekcji, możemy zdecydować się na posadzenie odmian, które wykazują genetyczną odporność na parcha. W szkółkach znajdziemy wiele ciekawych drzew odznaczających się tą cenną cechą. Jakie odmiany jabłoni są odporne na parcha? Polecamy następujące:
- Ariva,
- Cesarz Wilhelm,
- Chopin,
- Enterprise,
- Free Redstar,
- Złota Reneta,
- Lafayette,
- Topaz,
- Florina,
- Rajka,
- Witos,
- Hana.

Jak walczyć z parchem jabłoni – naturalne sposoby
Przed parchem jabłoni można, a nawet trzeba chronić drzewa w sadzie. Podstawowym sposobem zapobiegania rozprzestrzeniania się tej groźnej choroby jest porządkowanie obszaru wokół jabłoni czy grusz. Jesienią powinniśmy się pozbyć wszystkich opadłych liści, które stanowią źródło zakażenia. Ta prosta czynność w dużym stopniu ogranicza ilość patogenóww naszym ogrodzie i zmniejsza ryzyko rozwoju infekcji w kolejnym sezonie. Nie jest jednak wystarczająca, aby całkowicie pozbyć się zagrożenia.
W przydomowych sadach, gdzie uprawiamy owoce do bezpośredniego spożycia, w miarę możliwości powinniśmy unikać stosowania chemicznych oprysków. Dlatego, walcząc z parchem jabłoni, w pierwszym kroku warto sięgać po naturalne środki. Dopiero wtedy, gdy te metody zawiodą, zastosujmy fungicydy. Pamiętajmy, że niezależnie od wybranej metody, zabiegi ochronne będziemy musieli powtarzać częściej, jeśli aktualnie występują opady deszczu (wysoka wilgotność powietrza sprzyja rozprzestrzenianiu się patogenów powodujących parcha).

Jak walczyć z parchem jabłoni? Oto naturalne sposoby, z których warto skorzystać:
- Oprysk ze skrzypu polnego – aby przygotować go samodzielnie, potrzebujemy ok. 1 kg świeżego ziela skrzypu polnego. Należy je posiekać, a następnie zalać 1 l wody i odstawić na całą dobę. Po tym czasie całość gotujemy przez 20 min, a następnie studzimy oraz przelewamy do butelki z atomizerem. Oprysk jest gotowy do użycia. W sklepach ogrodniczych dostępne są również ekstrakty ze skrzypu polnego, które przed zastosowaniem należy rozcieńczyć zgodnie z instrukcją na opakowaniu;
- Oprysk mocznikiem – metoda ta uznawana jest za tanią i nieinwazyjną, a przy tym jedną z najskuteczniejszych w przypadku parcha jabłoni. Oprysk mocznikiem daje najlepsze efekty, jeśli zostanie zrealizowany jesienią. Osoby, które nie wykonały tego zabiegu i martwią się o tegoroczne zbiory, mogą zastosować oprysk również wiosną. Trzeba tylko pamiętać o kilku zasadach. Przygotowujemy 7-proc. roztwór mocznika, który rozpylamy wyłącznie na zalegające liście i podłoże wokół drzew, nie na same rośliny. Prace musimy wykonywać w chłodny dzień bez deszczu i słońca. Do jesiennego oprysku stosujemy 5-proc. roztwór mocznika.
Czy można jeść owoce zaatakowane przez parch jabłoni?
Skutki porażenia drzew owocowych przez parcha jabłoni są bardzo dotkliwe. Przede wszystkim dlatego, że zaatakowane patogenem plony niestety nie nadają się do spożycia. Niezależnie, czy objawy infekcji objęły znaczną część owocu, czy tylko jego część, nie powinniśmy go jeść. Ani na surowo, ani po obróbce termicznej! Pamiętajmy, że parch jabłoni powodowany jest przez chorobotwórcze grzyby, a te mają negatywny wpływ na nasze zdrowie. Nie zaleca się konsumowania jabłek i gruszek, na których obecne są jakiekolwiek ślady parcha, ponieważ znajdują się na nich niewidoczne gołym okiem zarodniki.
Źródło: deccoria.pl













